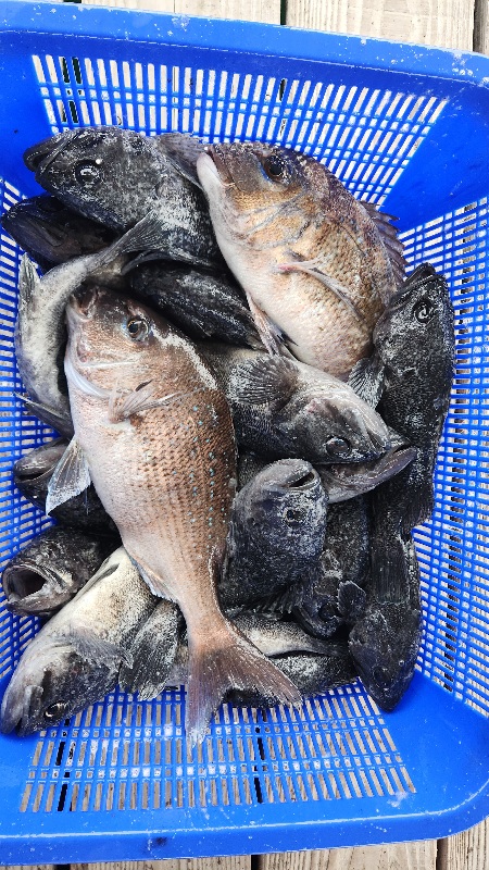
5월19일~24일 조황정보
페이지 정보
작성일25-05-24 19:18 조회332회관련링크
본문
신진호 좌대낚시
낚시하면 당암포구! 당암포구하면 신진호좌대!!!
신진호좌대에서 즐거운,손맛,입맛 모두 체험해보세요
*초보분들을위한 낚시대 무료대여
*잡은 고기는 무료로 회 떠주는 서비스!(1팀 1회)
*넓은 좌대 시설 및 깔끔한 시설
*운영시간: 주말 평일 동일 08:00 ~15:30시
*일반좌대요금:성인6만원/초등생4만원/관람3만원
*독립좌대요금: 성인8명기준50만원
*현재 입어 어종: 우럭. 참돔. 농어
*낚시 채비
바늘(도레바늘 16호) 미끼(오징어,지렁이,새우등)
낚시대, 뜰채,어망은 모두 무료 대여
예약문의
010-5342-5241
가끔 업무중에 전화를 못받는경우도 있으니
문자 남겨주시면 확인후 바로 연락드립니다.
조사님들의 손맛,입맛 확실히 책임져드릴수 있도록
항상 최선을 다하도록 하겠습니다. 감사합니다


















