11월8~9일 조황정보
페이지 정보
작성일25-11-09 19:41 조회420회관련링크
본문
*신진호 좌대 낚시 *
낚시하면 당암포구! 당암포구하면 신진호좌대!!!
신진호좌대에서 즐거운,손맛,입맛 모두 체험해보세요
*초보분들을위한 낚시대 무료대여
* 잡은 고기는 1팀 1회 무료로 회 떠주는 서비스(7~8월×)
* 넓은 좌대 시설 및 깔끔한 시설
* 다양한 어종 과 그날의 각종의 이벤트
* 냉.난방 시설 로 시원하고 따뜻한 휴게실
* 단체 & 가족 단위 를 위한 독립좌대 (휴게실) 운영
*운영시간: 주말 평일 동일 08:00 ~15:30분
*일반좌대요금:성인6만원/초등생4만원/관람3만원
*독립좌대요금: 성인8명기준50만원
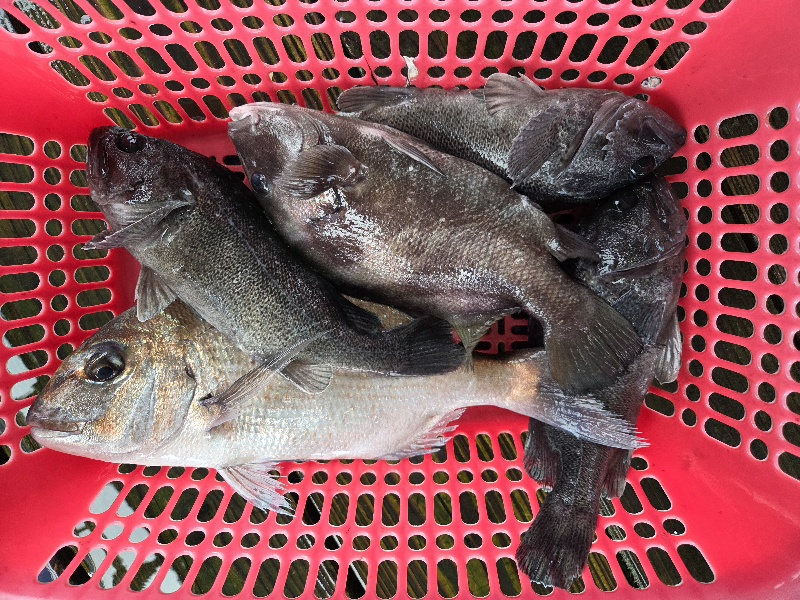
*현재 입어 어종: 우럭. 참돔. 농어. 홍돔. 동갈돗돔
* 낚시채비 *
바늘(도레바늘 16호) 미끼(오징어,지렁이,새우등)
낚시대, 뜰채,어망은 모두 무료 대여
* 준비물 *
취사 도구는 준비되어 있으나
부탄가스 및 일회용품 하고 집게, 가위 는
준비 하시길 바랍니다
예약문의
010-5342-5241
가끔 업무중에 전화를 못받는경우도 있으니
문자 남겨주시면 확인후 바로 연락드립니다.
조사님들의 손맛,입맛 확실히 책임져드릴수 있도록
항상 최선을 다하도록 하겠습니다. 감사합니다














